(31-4-69) COMMISSIONER DISTRICT 3
| Subdiv. No. | Street Name | Street No. | Surface Type | Length (mi) | Width (ft) | Year Added | Maintenance District |
|---|---|---|---|---|---|---|---|
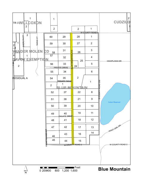
| 0300 | BLUE MOUNTAIN AVENUE | 23F | PAVED | 1.01 | 24 | 1989 | 4 |
| Subdiv. No. | Street Name | Street No. | Surface Type | Length (mi) | Width (ft) | Year Added | Maintenance District |
|---|---|---|---|---|---|---|---|
| 0300 | BLUE MOUNTAIN AVENUE | 23F | PAVED | 1.01 | 24 | 1989 | 4 |