(15-7-68) COMMISSIONER DISTRICT 1
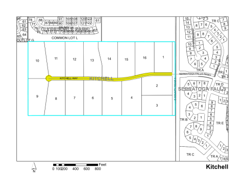
| Subdiv. No. | Street Name | Street No. | Surface Type | Length (mi) | Width (ft) | Year Added | Maintenance District |
|---|---|---|---|---|---|---|---|
| 525 | KITCHELL WAY | 44G | PAVED | 0.44 | 24 | 1997 | 13 |
All Larimer County Administrative Services, Courts, District Attorney, Ranch Offices, and Landfill are closed on Jan. 1, 2026, to celebrate the New Year's holiday. Larimer County Administrative Services, and the District Attorney remain closed on Jan. 2, 2026. The Landfill and Courts will be open Jan. 2, 2026.
| Subdiv. No. | Street Name | Street No. | Surface Type | Length (mi) | Width (ft) | Year Added | Maintenance District |
|---|---|---|---|---|---|---|---|
| 525 | KITCHELL WAY | 44G | PAVED | 0.44 | 24 | 1997 | 13 |