(21-5-68) COMMISSIONER DISTRICT 3
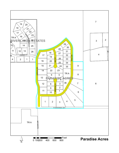
Subdiv. No. | Street Name | Street No. | Surface Type | Length (mi) | Width (ft) | Year Added | Maintenance District |
---|---|---|---|---|---|---|---|
0196 | HERON DRIVE | 7L | PAVED | 0.07 | 37 | 1976 | 4 |
0196 | HERON DRIVE | 7L | PAVED | 0.24 | 24 | 1976 | 4 |
0196 | JAY COURT | 7K | PAVED | 0.10 | 24 | 1976 | 4 |
0196 | JAY DRIVE | 18B.6 | PAVED | 0.16 | 24 | 1976 | 4 |
0196 | KING DRIVE | 18A.1 | PAVED | 0.46 | 24 | 1976 | 4 |
0196 | MARTIN COURT | 7K | PAVED | 0.09 | 24 | 1976 | 4 |
