(4-7-69) COMMISSIONER DISTRICT 1
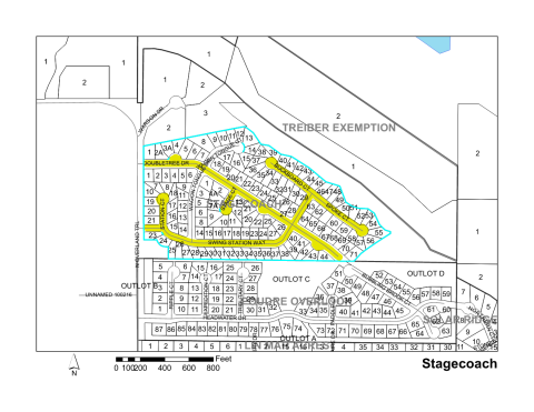
Subdiv. No. | Street Name | Street No. | Surface Type | Length (mi) | Width (ft) | Year Added | Maintenance District |
---|---|---|---|---|---|---|---|
0338 | BUCKBOARD COURT | 48G.3 | PAVED | 0.09 | 45 | 1978 | 13 |
0338 | DOUBLE TREE | 48J.3 | PAVED | 0.36 | 56 | 1978 | 13 |
0338 | SPOKE COURT | 48G.2 | PAVED | 0.10 | 44 | 1978 | 13 |
0338 | STAGE COURT | 19H.6 | PAVED | 0.04 | 44 | 1978 | 13 |
0338 | STATION COURT | 19J.7 | PAVED | 0.05 | 45 | 1978 | 13 |
0338 | SWING STATION WAY | 48H.3 | PAVED | 0.32 | 45 | 1978 | 13 |
0338 | WAGON TONGUE COURT | 19H.9 | PAVED | 0.07 | 45 | 1978 | 13 |
0338 | WAGON TONGUE DRIVE | 19J.1 | PAVED | 0.12 | 45 | 1978 | 13 |
